Info. alumnado: 979 108 215  unidad.gestion.palencia@uva.es   Vicerrectorado: 979 108 214   vicerrectorado.palencia@uva.es

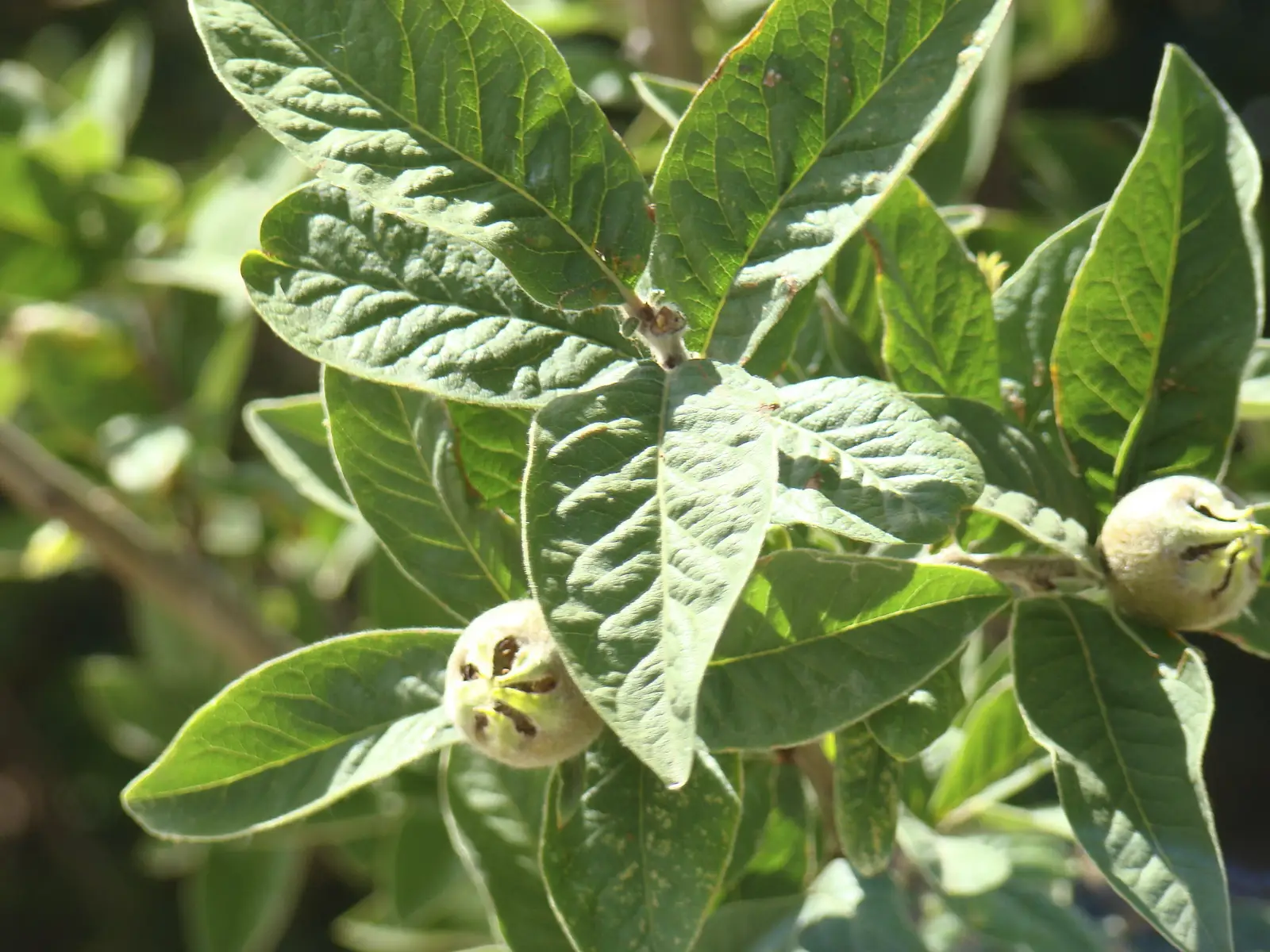
Mespilus germanica L.

Familia: Rosaceae

Níspero europeo

Arbolito o arbusto caducifolio con hojas simples, alternas de 5 a 12 cm de longitud, con forma de lanceoladas a obovadas, con la nervadura bien marcada, son pelosas en el envés. Flores solitarias de color blanco con cinco pétalos y 4-5 cm. de diámetro. Fruto globoso de aspecto similar al de un perillo con el cáliz persistente, es áspero e indigesto.

Hábitat: clima templado y húmedo. Asilvestrado en la mitad norte y este de la península ibérica.

Distribución: sudeste de Europa y oeste de Asia.

Usos y curiosidades: con los frutos se pueden preparar mermeladas, jaleas y bebidas. Tradicionalmente se han utilizado como astringente. También se usa en tintes.

Otras especies del campus

WordPress Appliance - Powered by TurnKey Linux